| Autore |
Messaggio |
|
Artemio79
Iscritto il: 07/09/2010, 9:39 Messaggi: 249 Località: Nuvolento - Brescia
Formazione: sacra scuola di Nanto
|

ho un problema che spero riusciate a risolvere. da alcuni giorni ho notato che le piante del mio orto vengono letteralmente mangiate ma non da lumache .. il prodotto l ho sempre messo e non ho mai avuto problemi. le foglie delle piante vengono come mangiate da piccoli insetti bianchi ( sembrano moscerini ) che trovo solo in volo quando sono presente nell' orto. in pratica alle foglie rimane solo lo scheletro. cosa diavolo puo' essere. io ho dato la colpa a quei moscerini per come vedo ridursi le foglie. in pratica attaccano quasi tutto . il problema è inizialmente iniziato con i cornetti poi oltre a quelli hanno iniziato ad avere problemi zucchine , peperoncini, melone, anguria e soprattutto ccetrioli. al momento gli unici a non venirne colpiti sono i pomodori. avrei voluto scrivere prima ma ho avuto problemi con la chiavetta che mi è sta gentilmente ridata dall ' assistenza in serata .. avete idea di cosa puo' essere e come risolvere. premessa non so se utile o meno. ho concimato solo con dello stallatico, cenere da legna e concime granulare misto ( non dico la marca ma è quello blu ) non ho mai avuto problemi di questo genere. penso si tratti di afidi sbaglio ? devo iniziare a piangere o c'e modo di recuperare ? prima possibile postero delle foto sepro abbiate capito il problema che sia gia ' stato superato anche da altri. consigli, pareri e parole di conforto sono bene accette. aiutatemi please ... 
_________________ se ghe de fal... fomel !
|
| 12/05/2011, 23:05 |
|
 |
|
|
 |
|
rosalia41
Iscritto il: 27/04/2011, 21:00 Messaggi: 103
|
i moscerini bianchi che tu vedi si chiamano Aleurodidi cioè la classica mosca bianca...la devi trattare con un isetticida valido i rimedi naturali non sono efficaci x queste mosche bianche io uso decis jet.. vedrai che spariranno..
_________________ tutti coloro che sono incapaci di imparare si sono messi a insegnare. (o.wilde) le persone educate contraddicono gli altri.i saggi contraddicono se stessi.(o.wilde)
|
| 13/05/2011, 10:03 |
|
 |
|
guido57
Iscritto il: 09/05/2011, 11:08 Messaggi: 28 Località: Torino
|
A parte il fatto che dovresti postare qualche foto, non penso che sia un problema di moscerini o afidi in quanto si nutrono di linfa e non di tessuto fogliare. E' più roba di lumache, bruchi o insetti tipo altica.
|
| 13/05/2011, 10:05 |
|
 |
|
rosalia41
Iscritto il: 27/04/2011, 21:00 Messaggi: 103
|
certo la mosca bianca non mangia le foglie... quelle che mangiano le foglie sono i lepidotteri (nottua defogliatori minatori ecc) che combatti sempre con l insetticida.. o come hai detto tu le lumache.. ma visto che ha messo il metaldeide non saranno loro.. comunque con la foto ne sapremo di più..ciao
_________________ tutti coloro che sono incapaci di imparare si sono messi a insegnare. (o.wilde) le persone educate contraddicono gli altri.i saggi contraddicono se stessi.(o.wilde)
|
| 13/05/2011, 11:21 |
|
 |
|
Artemio79
Iscritto il: 07/09/2010, 9:39 Messaggi: 249 Località: Nuvolento - Brescia
Formazione: sacra scuola di Nanto
|
posto le foto vi prego ditemi cosa fare e se riconoscete la causa ... sono disperato spero ci sia tempo per recuperare !!!
_________________ se ghe de fal... fomel !
|
| 13/05/2011, 19:57 |
|
 |
|
Artemio79
Iscritto il: 07/09/2010, 9:39 Messaggi: 249 Località: Nuvolento - Brescia
Formazione: sacra scuola di Nanto
|
altre foto dell' attacco ...
_________________ se ghe de fal... fomel !
|
| 13/05/2011, 20:02 |
|
 |
|
Artemio79
Iscritto il: 07/09/2010, 9:39 Messaggi: 249 Località: Nuvolento - Brescia
Formazione: sacra scuola di Nanto
|
al momento i soli ( !!! ) superstiti dall' attacco sono i piccoli frutti come lampone, ribesl la vite e i pomodori ... almeno quello.
Allegati:
Commento file: vite , a me sembra stia andando bene no ?
orto8.jpg [ 67.17 KiB | Osservato 3912 volte ]
Commento file: ditemi che almeno l' uva va bene ...
orto9.jpg [ 82.06 KiB | Osservato 3912 volte ]
_________________ se ghe de fal... fomel !
|
| 13/05/2011, 20:06 |
|
 |
|
Artemio79
Iscritto il: 07/09/2010, 9:39 Messaggi: 249 Località: Nuvolento - Brescia
Formazione: sacra scuola di Nanto
|
le foglie sembrano disintegrate !!!!!!!!!
_________________ se ghe de fal... fomel !
|
| 13/05/2011, 20:10 |
|
 |
|
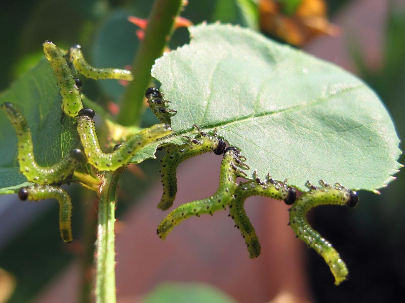
rosalia41
Iscritto il: 27/04/2011, 21:00 Messaggi: 103
|
la situazione e davvero grave..non perdere altro tempo vai a un negozio di agraria e porta qualche foglia loro ti sapranno dire.. nel frattempo usa l insetticida potente che c è ne bisogno...comunque per me restano sempre lepidotteri di quale specie non lo so ma che ti importa vanno eliminati subito.. ti mando qualche foto di lepidotteri che mangiano le foglie e lasciano intatte le nervature...mi raccomando affrettati.. fammi sapere che ti dicono al negozio....ciao
_________________ tutti coloro che sono incapaci di imparare si sono messi a insegnare. (o.wilde) le persone educate contraddicono gli altri.i saggi contraddicono se stessi.(o.wilde)
|
| 13/05/2011, 21:25 |
|
 |
|
Artemio79
Iscritto il: 07/09/2010, 9:39 Messaggi: 249 Località: Nuvolento - Brescia
Formazione: sacra scuola di Nanto
|
quello che mi sembra strano è di non averne mai visto uno di quei lepidotteri. se noti nella fotografia della piantina di melone la foglia sembra quasi disintegrata non come se fosse mangiata da larve mostrate nella foto che hai allegato ma da animali molto piu' piccoli.ho pensato ai moscerini bianchi perche' anche quando do da bere mi sembra di vederne alcuni alzarsi in volo. se li cerco sotto le foglie non trovo niente. di sicuro qualche foglia la porto a far vedere. ovviamente prima di piantare nuove pinatine sostitutive vorrei risolvere il problema. domanda ma le piantine sono recuperabili oppure devo lasciare ogni speranza ?
_________________ se ghe de fal... fomel !
|
| 13/05/2011, 22:32 |
|
|