 |
L'orto di Valle Tamantina 2016
| Autore |
Messaggio |
|
ValleTamantina
Iscritto il: 14/05/2015, 14:04 Messaggi: 1595 Località: Bevagna (PG)
|
Grazie mille Mauma per il tuo apprezzamento, mi fa davvero molto piacere!! Da sempre qui l’orto è stato in secondo piano, si piantava un po’ di tutto (anche se molto meno), ma la sua cura veniva dopo tanti altri impegni e priorità; l’anno scorso abbiamo fatto il passo verso una migliore gestione e la “vittoria” arriva ogni volta che gli ospiti dell’agriturismo (soprattutto chi viene da tanti anni), visto che sono loro i principali fruitori, ci fanno notare il cambiamento positivo, entrano a raccogliere quello che gli serve o solo a curiosare e si fermano a chiacchierare con noi, apprezzano ciò che nasce e vedono maturare giorno dopo giorno e fanno tante domande e foto. Tanto ho imparato da questo forum e tanto devo ancora imparare. Sono dell’idea che la continua curiosità di conoscere ed il piacere della condivisione (in tutti i campi) siano ciò che rende una vita più fertile. Più tardi metterò altre foto di aggiornamento, sto finendo di scaricarle… 
_________________ Laura - - -> La mia pagina FB: www.facebook.com/ValleTamantina 26082018 ciao traco... per sempre con noi... 11042021 ciao kentarro... per sempre con noi...
|
| 06/09/2016, 21:21 |
|
 |
|
|
 |
|
ValleTamantina
Iscritto il: 14/05/2015, 14:04 Messaggi: 1595 Località: Bevagna (PG)
|
Fichi Allegato:
18082016fichi.jpg [ 194.16 KiB | Osservato 558 volte ]
Pomodorini ciliegini e pendolo Allegato:
28082016ciliegini.jpg [ 261.49 KiB | Osservato 558 volte ]
Allegato:
28082016pendolo-ciliegini.jpg [ 310.99 KiB | Osservato 558 volte ]
_________________ Laura - - -> La mia pagina FB: www.facebook.com/ValleTamantina 26082018 ciao traco... per sempre con noi... 11042021 ciao kentarro... per sempre con noi...
|
| 07/09/2016, 0:22 |
|
 |
|
ValleTamantina
Iscritto il: 14/05/2015, 14:04 Messaggi: 1595 Località: Bevagna (PG)
|
Fine agosto: primo raccolto di peperoncini tondi calabresi, fatti ripieni con tonno, alici e capperi. Allegato:
29082016peperoncini-ripieni1.jpg [ 272.87 KiB | Osservato 557 volte ]
Allegato:
29082016peperoncini-ripieni2.jpg [ 153.22 KiB | Osservato 557 volte ]
Allegato:
29082016peperoncini-ripieni3.jpg [ 156.03 KiB | Osservato 557 volte ]
Allegato:
04092016peperoncini-ripieni.jpg [ 209.08 KiB | Osservato 557 volte ]
_________________ Laura - - -> La mia pagina FB: www.facebook.com/ValleTamantina 26082018 ciao traco... per sempre con noi... 11042021 ciao kentarro... per sempre con noi...
|
| 07/09/2016, 0:29 |
|
 |
|
ValleTamantina
Iscritto il: 14/05/2015, 14:04 Messaggi: 1595 Località: Bevagna (PG)
|
I borlotti secchi sono stati raccolti e battuti a mano. Allegato:
29082016borlotti.jpg [ 387.5 KiB | Osservato 553 volte ]
Allegato:
29082016raccolta-borlotti.jpg [ 396.38 KiB | Osservato 553 volte ]
Allegato:
29082016borlotti2.jpg [ 273.39 KiB | Osservato 553 volte ]
Allegato:
29082016battitura-borlotti.jpg [ 399.53 KiB | Osservato 553 volte ]
_________________ Laura - - -> La mia pagina FB: www.facebook.com/ValleTamantina 26082018 ciao traco... per sempre con noi... 11042021 ciao kentarro... per sempre con noi...
|
| 07/09/2016, 0:38 |
|
 |
|
ValleTamantina
Iscritto il: 14/05/2015, 14:04 Messaggi: 1595 Località: Bevagna (PG)
|
Lasciati asciugare, sono una cinquantina di chili Allegato:
02092016borlotti.jpg [ 397.88 KiB | Osservato 552 volte ]
Allegato:
02092016borlotti2.jpg [ 349.68 KiB | Osservato 552 volte ]
Raccolte le cipolle. Le rosse di Tropea (avevamo trapiantato le piantine) buonissime e belle. Le tonde dorate di Parma (avevamo seminato le cipolline), sono venute piccoline. Allegato:
30082016cipolle.jpg [ 355.42 KiB | Osservato 552 volte ]
Allegato:
30082016cipolle-tropea.jpg [ 268.16 KiB | Osservato 552 volte ]
_________________ Laura - - -> La mia pagina FB: www.facebook.com/ValleTamantina 26082018 ciao traco... per sempre con noi... 11042021 ciao kentarro... per sempre con noi...
|
| 07/09/2016, 0:46 |
|
 |
|
ValleTamantina
Iscritto il: 14/05/2015, 14:04 Messaggi: 1595 Località: Bevagna (PG)
|
Raccolto misto: cipolle, nocciole, pomodori da insalata (cuore di bue e verna orange) e le prime pesche settembrine (le piogge di quest’anno le hanno un po’ compromesse). Fatte in marmellata e sciroppate. Allegato:
01092016raccolto.jpg [ 344.52 KiB | Osservato 551 volte ]
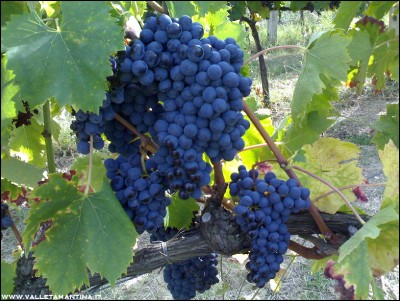
Il vigneto anche quest’anno promette bene, si preannuncia un’ottima vendemmia. Allegato:
30082016uva.jpg [ 283.49 KiB | Osservato 551 volte ]
Allegato:
03092016uva.jpg [ 231.47 KiB | Osservato 551 volte ]
Allegato:
03092016vigneto.jpg [ 234.73 KiB | Osservato 551 volte ]
_________________ Laura - - -> La mia pagina FB: www.facebook.com/ValleTamantina 26082018 ciao traco... per sempre con noi... 11042021 ciao kentarro... per sempre con noi...
|
| 07/09/2016, 0:54 |
|
 |
|
ValleTamantina
Iscritto il: 14/05/2015, 14:04 Messaggi: 1595 Località: Bevagna (PG)
|
Nel secondo orto, le zucche sono quasi mature. 3 zucche lagenarie da seme. E poi ci sono da raccogliere 13 zucche moscate. Mi spiace non aver avuto il tempo di mettere della paglia o un sostegno sotto ad ognuna per evitare di marcire o di macchiarsi a contatto con la terra, ma comunque sembrano tutte sane. Allegato:
29082016zucche-lagenarie.jpg [ 290.65 KiB | Osservato 550 volte ]
Allegato:
30082016zucche.jpg [ 398.99 KiB | Osservato 550 volte ]
Allegato:
29082016zucca-moscata2.jpg [ 320.41 KiB | Osservato 550 volte ]
Allegato:
29082016zucca-moscata.jpg [ 342.05 KiB | Osservato 550 volte ]
_________________ Laura - - -> La mia pagina FB: www.facebook.com/ValleTamantina 26082018 ciao traco... per sempre con noi... 11042021 ciao kentarro... per sempre con noi...
|
| 07/09/2016, 1:02 |
|
 |
|
ValleTamantina
Iscritto il: 14/05/2015, 14:04 Messaggi: 1595 Località: Bevagna (PG)
|
E poco prima della pioggia, la terra dove stavano i borlotti è stata lavorata ed affinata per le prossime colture. Ci sarebbe voluto un ulteriore affinamento, ma non c’è stato il tempo… Allegato:
30082016terra-borlotti.jpg [ 347.58 KiB | Osservato 549 volte ]
Allegato:
30082016rippatura.jpg [ 311.23 KiB | Osservato 549 volte ]
Allegato:
30082016affinamento-terra.jpg [ 330.66 KiB | Osservato 549 volte ]
Piantine per l’orto autunnale/invernale: cavolfiore (marzo e dicembre), verze, finocchi, cicorie varie (cicoria palla bianca, cicoria pan di zucchero, cicoria rossa di Treviso e cicoria Indigo). Allegato:
01092016cavoli-verze-cicorie.jpg [ 215.27 KiB | Osservato 549 volte ]
_________________ Laura - - -> La mia pagina FB: www.facebook.com/ValleTamantina 26082018 ciao traco... per sempre con noi... 11042021 ciao kentarro... per sempre con noi...
|
| 07/09/2016, 1:10 |
|
 |
|
ValleTamantina
Iscritto il: 14/05/2015, 14:04 Messaggi: 1595 Località: Bevagna (PG)
|
I ceci neri, un piccolissimo raccolto per riprovare la semina il prossimo anno. Allegato:
02092016ceci-neri.jpg [ 298.5 KiB | Osservato 549 volte ]
I fagiolini di Valle Tamantina e le patate di Traco. Wow, hanno "legato" benissimo, questo matrimonio s’ha da fare! Allegato:
04092016patate-fagiolini.jpg [ 163.65 KiB | Osservato 549 volte ]
Allegato:
04092016patate-fagiolini2.jpg [ 188.57 KiB | Osservato 549 volte ]
_________________ Laura - - -> La mia pagina FB: www.facebook.com/ValleTamantina 26082018 ciao traco... per sempre con noi... 11042021 ciao kentarro... per sempre con noi...
|
| 07/09/2016, 1:17 |
|
 |
|
carmen
Iscritto il: 30/08/2008, 8:02 Messaggi: 2780 Località: Viterbo
Formazione: infermiera
|
Ciao Laura, Ha ragione Mauma, il tuo e l'orto più bello. L'ho sempre detto ... Bellissima l’uva nera, che varietà è ? Carmen
|
| 07/09/2016, 7:26 |
|
|
Chi c’è in linea |
Visitano il forum: Nessuno e 2 ospiti |
|
Non puoi aprire nuovi argomenti Non puoi rispondere negli argomenti Non puoi modificare i tuoi messaggi Non puoi cancellare i tuoi messaggi Non puoi inviare allegati
|
|
 |