 |
 |
 |
|
Pagina 1 di 1
|
[ 3 messaggi ] |
|
| Autore |
Messaggio |
|
Micheleb98
Iscritto il: 12/02/2023, 12:48 Messaggi: 2
|
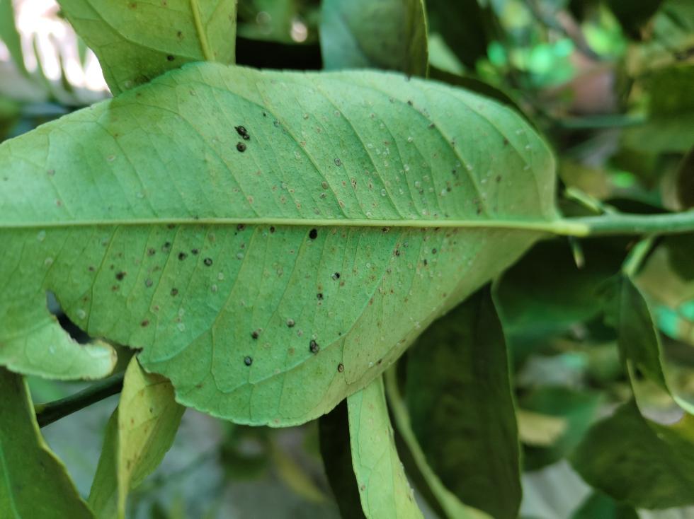
Salve, ho 5 piante di limone e da un po' di tempo ho notato sotto alle foglie questi "insetti". Dopo il ricovero invernale la situazione è molto peggiorata e adesso quasi tutte le foglie sono piene. Con che prodotto posso trattare le piante?
|
| 12/02/2023, 13:21 |
|
 |
|
|
 |
|
JeanGabin
Sez. Miscellanea
Iscritto il: 27/07/2011, 13:09 Messaggi: 29348 Località: Imperia
|
Benvenuto nel forum di Agraria.org, questa è la sezione presentazione, devi porre la domanda nella sezione agrumi, ricorda di mettere la località nella tua scheda utente.
Ciao
_________________ Nella vita non esistono sfide, ma solo una sfida, quella con te stesso... "Gli esseri umani nascono con capacità diverse. Se sono liberi, non sono uguali. E se sono uguali, non sono liberi." Aleksandr Solženicyn
|
| 12/02/2023, 13:40 |
|
 |
|
Alessandro1944
Iscritto il: 03/09/2017, 10:18 Messaggi: 2705 Località: bassa Valsusa
Formazione: Buoni studi
|
Sono incerto. Nell'ultima foto sembrerebbero ovature (tipo cimici); per le "puntinature" non riesco a capire: l'alternativa potrebbe essere tra cocciniglie o ninfe di mosca bianca. Come rimedio in ogni caso pulire foglia per foglia con uno straccetto inumidito con olio bianco o anche vegetale (lino, soia).
|
| 12/02/2023, 13:57 |
|
|
|
Pagina 1 di 1
|
[ 3 messaggi ] |
|
Chi c’è in linea |
Visitano il forum: Nessuno e 14 ospiti |
|
Non puoi aprire nuovi argomenti Non puoi rispondere negli argomenti Non puoi modificare i tuoi messaggi Non puoi cancellare i tuoi messaggi Non puoi inviare allegati
|
|
 |
|