 |
L'orto di Valle Tamantina 2018
| Autore |
Messaggio |
|
ValleTamantina
Iscritto il: 14/05/2015, 14:04 Messaggi: 1595 Località: Bevagna (PG)
|

Hortus ha scritto: Tutto bello (cimici a parte); almeno mi consolo a guardare le vostre di zucche   Ciao Hortus, non sei più riuscito a risolvere il problema dei fiori con la zucchina che si spaccano? Peccato! traco ha scritto: Bello Laura quanta roba, i pomodorini gialli come li consumi? Come sono le melanzane bianche? buone vero? buon lavoro. Ciao Traco, grazie.  Si, tanta roba, probabilmente troppa... il prossimo anno dovrò ridimensionare la quantità di piantine... Le abbiamo mangiate ieri le melanzane bianche di due raccolti. Buone, non noto tanta differenza di sapore con le altre viola, tu dici che sono delicate, a me invece sembra abbiano un sapore deciso. Di sicuro ho notato che pur essendo piccole sono piene di semi, non mi dispiace (anche se mi piacciono di più quelle con più polpa), vediamo se papà e mamma le promuovono... così il prossimo anno le riseminerò. Una carrellata di foto di pomodori. Da come erano partite in sofferenza le piantine non pensavo che sarebbero state così belle e produttive. Allegato:
08082018cuore-bue.jpg [ 231.37 KiB | Osservato 596 volte ]
Allegato:
08082018pomodori.jpg [ 330.5 KiB | Osservato 596 volte ]
Allegato:
08082018pomodori-grappolo.jpg [ 285.57 KiB | Osservato 596 volte ]
Allegato:
08082018pomodori2.jpg [ 252.6 KiB | Osservato 596 volte ]
_________________ Laura - - -> La mia pagina FB: www.facebook.com/ValleTamantina 26082018 ciao traco... per sempre con noi... 11042021 ciao kentarro... per sempre con noi...
|
| 10/08/2018, 15:09 |
|
 |
|
|
 |
|
ValleTamantina
Iscritto il: 14/05/2015, 14:04 Messaggi: 1595 Località: Bevagna (PG)
|
Un’altra raccolta di pomodori. Contenitori prima e dopo il raccolto.  Allegato:
08082018cassette-pomodori.jpg [ 367.88 KiB | Osservato 596 volte ]
Allegato:
08082018raccolta-pomodori.jpg [ 358.68 KiB | Osservato 596 volte ]
Raccolto multicolore. Allegato:
08082018raccolto.jpg [ 312.92 KiB | Osservato 596 volte ]
Allegato:
08082018raccolto2.jpg [ 327.56 KiB | Osservato 596 volte ]
Mammamia, quanto lavoro che c’è in questo periodo per raccogliere tutte le verdure, per pulirle e prepararle al consumo (immediato o futuro), per fare la salsa… Se penso che sono quasi maturi i peperoncini tondi e quindi nei prossimi giorni dovrò raccoglierli e farli ripieni, poi ancora fagiolini, poi si ricomincia con i pomodori, con il taglio dell’erba, la cattura delle cimici…. aiutooooo….  ma il tizio che distribuisce i giorni di vacanza (o quantomeno di riposo) si è dimenticato di me? Buon fine settimana amici ortolani e stanotte tutti a guardare le stelle! 
_________________ Laura - - -> La mia pagina FB: www.facebook.com/ValleTamantina 26082018 ciao traco... per sempre con noi... 11042021 ciao kentarro... per sempre con noi...
|
| 10/08/2018, 15:14 |
|
 |
|
Mister
Iscritto il: 31/03/2016, 16:48 Messaggi: 565 Località: Varese (LO)
|
quanti raccolti  nel tuo caso piu che un hobby diventa un lavoro!!
|
| 13/08/2018, 17:26 |
|
 |
|
Niso
Iscritto il: 25/04/2016, 21:23 Messaggi: 559 Località: Roma (est)
Formazione: Perito
|
Grazie Laura.
|
| 14/08/2018, 21:26 |
|
 |
|
traco
Iscritto il: 12/10/2015, 9:15 Messaggi: 1746 Località: Ossola(lecco)
|
Altro che hobby questo vuol dire passione e lavoro duro.
_________________ Ciao traco
|
| 16/08/2018, 11:11 |
|
 |
|
ValleTamantina
Iscritto il: 14/05/2015, 14:04 Messaggi: 1595 Località: Bevagna (PG)
|
Quando si parla di hobby probabilmente si pensa a piccole superfici di terreno, ma c’è tanto lavoro comunque… Melanzane White Eggs, trova l’intruso! Allegato:
09082018melanz-white-eggs.jpg [ 197.6 KiB | Osservato 467 volte ]
Fagioli di Spagna e zinnie. Allegato:
09082018fagioli-zinnie.jpg [ 333.08 KiB | Osservato 467 volte ]
Pomodori Amana orange. Allegato:
09082018pomodori-amana.jpg [ 258.66 KiB | Osservato 467 volte ]
Allegato:
09082018pomodori-amana2.jpg [ 271.76 KiB | Osservato 467 volte ]
_________________ Laura - - -> La mia pagina FB: www.facebook.com/ValleTamantina 26082018 ciao traco... per sempre con noi... 11042021 ciao kentarro... per sempre con noi...
|
| 17/08/2018, 22:04 |
|
 |
|
ValleTamantina
Iscritto il: 14/05/2015, 14:04 Messaggi: 1595 Località: Bevagna (PG)
|
Pomodori. Allegato:
09082018pomodori.jpg [ 358.53 KiB | Osservato 463 volte ]
Allegato:
09082018pomodori2.jpg [ 278.09 KiB | Osservato 463 volte ]
Girasoli. Allegato:
09082018girasole-mammuth.jpg [ 278.24 KiB | Osservato 463 volte ]
Allegato:
09082018bombo.jpg [ 208.15 KiB | Osservato 463 volte ]
_________________ Laura - - -> La mia pagina FB: www.facebook.com/ValleTamantina 26082018 ciao traco... per sempre con noi... 11042021 ciao kentarro... per sempre con noi...
|
| 17/08/2018, 22:08 |
|
 |
|
ValleTamantina
Iscritto il: 14/05/2015, 14:04 Messaggi: 1595 Località: Bevagna (PG)
|
Siepe di tagete. Allegato:
09082018pomodori-tagete.jpg [ 339.29 KiB | Osservato 461 volte ]
I peperoncini cayenna sono ancora indietro per la maturazione, rispetto alle altre varietà. Allegato:
11082018cayenna-tagete-pomodori.jpg [ 315.03 KiB | Osservato 461 volte ]
Zucchine con tutore. Allegato:
10082018zucchine.jpg [ 264.92 KiB | Osservato 461 volte ]
Allegato:
10082018zucchina.jpg [ 240.87 KiB | Osservato 461 volte ]
_________________ Laura - - -> La mia pagina FB: www.facebook.com/ValleTamantina 26082018 ciao traco... per sempre con noi... 11042021 ciao kentarro... per sempre con noi...
|
| 17/08/2018, 22:15 |
|
 |
|
Hortus
Iscritto il: 15/01/2018, 13:36 Messaggi: 646 Località: Napoli
|
Quanti pomodori! le melanzane bianche come sono? Però ti serviva un uovo bianco così era più difficile trovare l'intruso 
|
| 18/08/2018, 18:51 |
|
 |
|
ValleTamantina
Iscritto il: 14/05/2015, 14:04 Messaggi: 1595 Località: Bevagna (PG)
|

Eh, si… tanti, tantissimi pomodori! Per quanto riguarda la mia poca esperienza con le melanzane bianche, i pro sono l’alta produttività e anche il gusto, che è bello deciso, nulla da invidiare alle “sorelle” viola. I contro sono la buccia dura e tantissimi semi concentrati in fette così piccole. Ma non prendere come verità assoluta quanto dico, perché magari con una maggiore irrigazione potrebbero risultare più morbide, venire più grandi e forse anche con semi più “tardivi”… Hortus ha scritto: Però ti serviva un uovo bianco così era più difficile trovare l'intruso Hai ragione, ma ho solo galline rosse che fanno uova rosse! Qualche pomodoro è stato colpito dalla nottua. Anche l’anno scorso c’erano questi bruchi che entrano nel pomodoro e scavano gallerie, avevo comperato piattini gialli ed altri blu per spalmarli di colla e catturare le farfalle che li generano, ma non ho avuto tempo per farlo e prima della fine del mese non ce l’avrò ancora… mi sa che rimando al prossimo anno… Allegato:
08082018nottua-pomodori.jpg [ 263.06 KiB | Osservato 423 volte ]
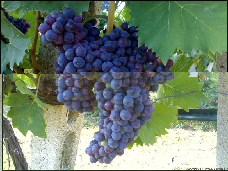
Uva sangiovese in maturazione; la foto è di una decina di giorni fa, ormai è bella matura. In questo periodo è sempre meno il tempo per stare al PC per scaricare le foto e per pubblicare gli aggiornamenti... Allegato:
08082018sangiovese.jpg [ 230.45 KiB | Osservato 423 volte ]
Mix. Allegato:
09082018zucchine-pom.jpg [ 325.99 KiB | Osservato 423 volte ]
Un fico, con un bel temperamento tenace, esce da un muretto in pietra. Allegato:
fico-muretto.jpg [ 145.03 KiB | Osservato 423 volte ]
_________________ Laura - - -> La mia pagina FB: www.facebook.com/ValleTamantina 26082018 ciao traco... per sempre con noi... 11042021 ciao kentarro... per sempre con noi...
|
| 19/08/2018, 14:49 |
|
|
Chi c’è in linea |
Visitano il forum: Nessuno e 7 ospiti |
|
Non puoi aprire nuovi argomenti Non puoi rispondere negli argomenti Non puoi modificare i tuoi messaggi Non puoi cancellare i tuoi messaggi Non puoi inviare allegati
|
|
 |