 |
 |
 |
|
Pagina 1 di 1
|
[ 2 messaggi ] |
|
| Autore |
Messaggio |
|
Neuromancer
Iscritto il: 08/01/2019, 15:02 Messaggi: 104 Località: Asti
|
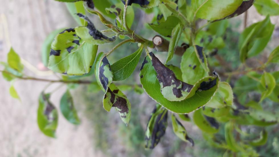
Le foglie di due peri si sono annerite e in alcuni casi seccate. Allego alcune foto. Cosa può essere? Grazie.
Allegati:
20220421_182623.jpg [ 57.09 KiB | Osservato 471 volte ]
20220421_182641.jpg [ 65.9 KiB | Osservato 471 volte ]
|
| 22/04/2022, 19:28 |
|
 |
|
|
 |
|
Alessandro1944
Iscritto il: 03/09/2017, 10:18 Messaggi: 2698 Località: bassa Valsusa
Formazione: Buoni studi
|
Potrebbe essere maculatura bruna, anche se è un po' presto e i sintomi fogliari sono meno frequenti che sui frutti. Ci sono per caso sintomi a carico di fiori e rametti?
|
| 23/04/2022, 2:57 |
|
|
|
Pagina 1 di 1
|
[ 2 messaggi ] |
|
Chi c’è in linea |
Visitano il forum: Google [Bot] e 3 ospiti |
|
Non puoi aprire nuovi argomenti Non puoi rispondere negli argomenti Non puoi modificare i tuoi messaggi Non puoi cancellare i tuoi messaggi Non puoi inviare allegati
|
|
 |
|