Messaggi senza risposta | Argomenti attivi Oggi è 16/10/2025, 21:33




Rispondi all’argomento  [ 25 messaggi ]  Vai alla pagina Precedente  1, 2, 3
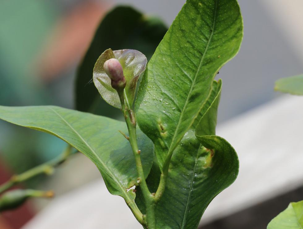
Limone in vaso: germogli sofferenti 
Autore Messaggio

Iscritto il: 01/11/2010, 18:31
Messaggi: 159
Rispondi citando
...inoltre, si può notare su alcune foglie, una specie di "patina", sembrano delle gocce, invece è una sostanza particolarmente appiccicosa come si può notare...


Allegati:
IMGS0534.jpg
IMGS0534.jpg [ 60.94 KiB | Osservato 473 volte ]
IMGS0531.jpg
IMGS0531.jpg [ 45.64 KiB | Osservato 473 volte ]
05/06/2021, 22:53
Profilo
Sez. Suini
Sez. Suini
Avatar utente

Iscritto il: 23/09/2009, 16:47
Messaggi: 9970
Località: Emilia
Formazione: laurea umanistica, esperienza in sala parto suini e fecondazione artificiale
Rispondi citando
Potrei sbagliare, ma il liquido appicicaticcio è linfa succhiata dagli afidi e , secondo me, dalla cocciniglia.

_________________
L'esperto è una persona che ha fatto in un campo molto ristretto tutti i possibili errori.(Niels Bohr)
Più la caduta di un Impero è vicina, più le sue leggi sono folli. Cicerone


05/06/2021, 23:38
Profilo

Iscritto il: 01/11/2010, 18:31
Messaggi: 159
Rispondi citando
..e quindi come dovrei intervenire?


06/06/2021, 0:38
Profilo
Sez. Suini
Sez. Suini
Avatar utente

Iscritto il: 23/09/2009, 16:47
Messaggi: 9970
Località: Emilia
Formazione: laurea umanistica, esperienza in sala parto suini e fecondazione artificiale
Rispondi citando
Beh, dipende da te. Puoi passare alla guerra chimica, passi per un garden center e acquisti un prodotto idoneo.
Oppure puoi provare con macerati d'erbe (ortica, aglio, tabacco, basta fare qualche ricerca) da spruzzare sulle foglie (anche nella parte inferiore)
Per la cocciniglia , mi pare di vedere dei piccoli scudetti vicino ai germogli (4° foto ), se passi con due dita dovrebbero staccarsi e schiacciarsi producendo un liquido rossastro (consiglio di usare i guanti).
Per la cocciniglia si possono seguire due metodi: se l'albero è piccolo, ti puoi armare con dei cotton fioc inumiditi e ripulire tronco e foglie manualmente, oppure si può usare l'olio bianco , sul forum ne abbiamo parlato, ad es. qui:
agrumi-f88/cocciniglia-t108525.html" target="_blank" target="_blank

_________________
L'esperto è una persona che ha fatto in un campo molto ristretto tutti i possibili errori.(Niels Bohr)
Più la caduta di un Impero è vicina, più le sue leggi sono folli. Cicerone


06/06/2021, 11:47
Profilo

Iscritto il: 01/11/2010, 18:31
Messaggi: 159
Rispondi citando
Grazie per le indicazioni...

Ma lo stato di queste foglie? ...che problemi ha la pianta? ...questi arricciamenti intendo e queste macchie brunastre sul bordo da cosa sono dovute?


13/06/2021, 22:17
Profilo
Visualizza ultimi messaggi:  Ordina per  
Rispondi all’argomento   [ 25 messaggi ]  Vai alla pagina Precedente  1, 2, 3

Chi c’è in linea

Visitano il forum: Google [Bot] e 5 ospiti


Non puoi aprire nuovi argomenti
Non puoi rispondere negli argomenti
Non puoi modificare i tuoi messaggi
Non puoi cancellare i tuoi messaggi
Non puoi inviare allegati

Cerca per:
Vai a:  
POWERED_BY
Designed by ST Software.

Traduzione Italiana phpBB.it
phpBB SEO

Informativa Privacy