Ciao a tutti
vi espongo il seguente problema riguardante al momento un:
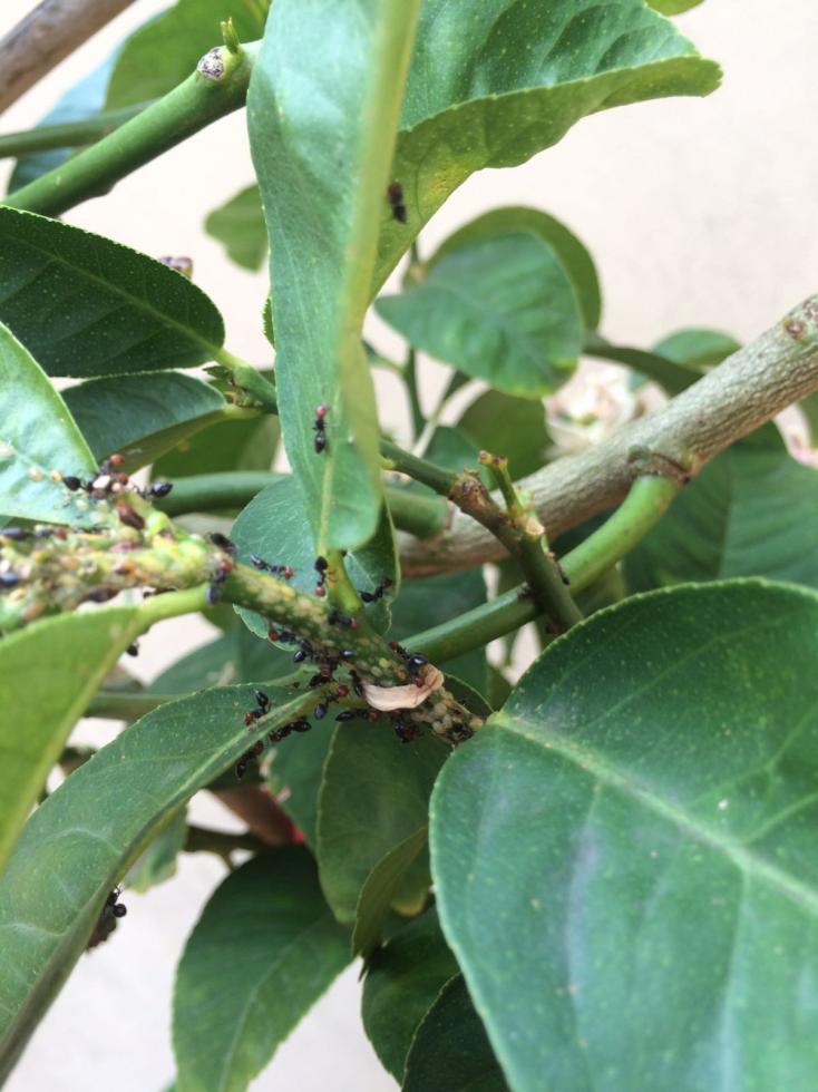
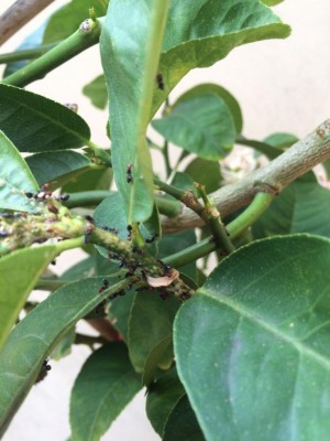
cedro mano di buddha coltivato in vaso
in sostanza gia da un mesetto circa erano riapparse sul terrazzo delle Crematogaster scutellaris che trafficavano sull'agrume in questione, ma non ne capivo la presenza (erano apparse la prima volta un paio di anni fa su un ulivo in vaso in concomitanza con la presenza della cocciniglia).
oggi dopo una ulteriore osservazione ho notato quello che a me, profano sembra essere uno stato iniziale di infestazione di cocciniglia mezzo grano di pepe. quindi adesso capisco cosa ci fanno le formiche, anche se non capisco cosa facessero li gia da un mese.
vi allego un paio di foto della situazione
se l'analisi fosse giusta mi pare di aver capito che l'infestazione andrebbe trattata con dell'olio bianco diluito in acqua e spruzzato sulla pianta; vi chiedo di questo conferma
e inoltre vi chiedere ogni quanto spruzzarlo, ovvero se va ripetuto il trattamento o banalmente quanto spruzzarne e se vanno effettuate altre operazioni per debellare questo parassita
vi ringrazio in anticipo per attenzione ed aiuto che mi darete
- Allegati
-

-
