Switch to full style
Rispondi al messaggio

Malattia limone

12/02/2023, 13:50

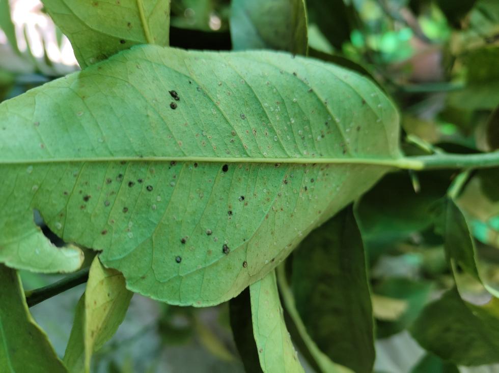
Salve, ho 5 piante di limone e da un po' di tempo ho notato sotto alle foglie questi "insetti". Dopo il ricovero invernale la situazione è molto peggiorata e adesso quasi tutte le foglie sono piene. Con che prodotto posso trattare le piante?
Allegati
IMG_20230212_114452741.jpg
IMG_20230212_114430194.jpg
IMG_20230212_114417416.jpg

Re: Malattia limone

12/02/2023, 14:44

nella seconda foto vedo delle uova.
dovresti postare foto dettagliate degli insetti, non riesco a capire di cosa si tratta ,potrebbero essere cocciniglie,aleuroidi ecc.

Re: Malattia limone

12/02/2023, 22:14

Ho dato lo stesso parere (il messaggio è replicato),

Re: Malattia limone

27/03/2023, 0:27

Ciao...
...le uova potrei dirti quasi sicuramente sono di cimice... cimice asiatica...

...rimuovile subito, prima che schiudano...
Rispondi al messaggio